Lawsuit Alleges Frontier Airlines Misleads Customers With Baggage Fees
Baggage fees are not the only complaint in this lawsuit.
Baggage fees are not the only complaint in this lawsuit.
Is this a good idea?
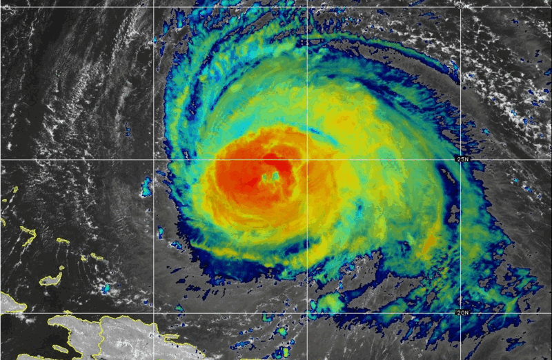
Landfall of this hurricane is expected to occur in...
Afterwards, landfall of this hurricane is expected to occur in...
Airbnb, VRBO, and other lodging options that are not hotel properties are included.
Yes. That Idalia.
Again: is this necessary — or a step in the wrong direction?
More airlines issue travel waivers for Florida, Georgia, and South Carolina.
This is currently a Category 4 hurricane.
This is forecast to landfall as a major hurricane.
Join our mailing list to receive the latest news and updates from our team.









