Landfall of Hurricane Francine About to Happen: September 2024 Travel Alert
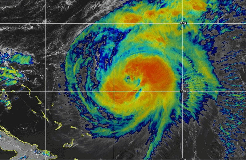
This hurricane has strengthened to Category 2 just prior to landfall.
This hurricane has strengthened to Category 2 just prior to landfall.
This tropical storm is forecast to become a hurricane prior to landfall.
No one is dancing the can-can in anticipation of Shanshan.
The good news is that Hone is not honing in on Hawaii.
It is still in its experimental stage.
This hurricane may possibly become a major hurricane prior to reaching Bermuda.
Ampil is not an aspirin — but it will cause headaches for travelers.
Next in line to be affected is Bermuda.
This tropical storm has a chance to become a minimal hurricane after as many as two landfalls.
After landfall, this tropical storm system heads northeast to...
Join our mailing list to receive the latest news and updates from our team.






