Reindeer in Snowy Northern Finland. Short Video Included.
Why are they called reindeer and not snowdeer?
Why are they called reindeer and not snowdeer?
This is the end of the road...or is it the beginning of the road?
This article is a work in progress.
This is another simple yet potentially lucrative promotion from Hilton.
Уште едно прекрасно изгрејсонце.
No water feature exists under the remaining Double Arch.
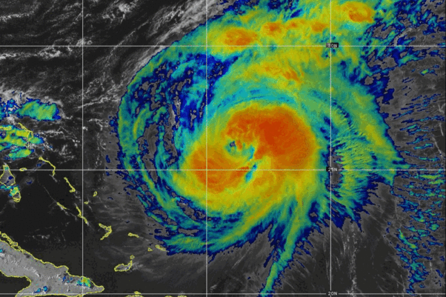
This hurricane may possibly become a major hurricane prior to reaching Bermuda.
This promotion is only good while supplies last.
Old enough to vote and to serve in the military — and in some locations, drink.
These hot choices were not such hot choices.
Ten frequent travel loyalty programs are offering deals in this edition.
Ampil is not an aspirin — but it will cause headaches for travelers.
Next in line to be affected is Bermuda.
Join our mailing list to receive the latest news and updates from our team.









