Interstate 49: The Ultimate Boredom?
I can see for miles and miles...
I can see for miles and miles...
The food was very good — and the prices were reasonable. Yes — in Iceland.
It was the longest cable-stayed bridge in Africa — until this year.
May 5784 be the sweetest year yet for you.
15 frequent travel loyalty programs are offering deals in this edition.
Shop until you Fall.
This promotion is only good while supplies last.
This sale ends on Thursday, September 14, 2023.
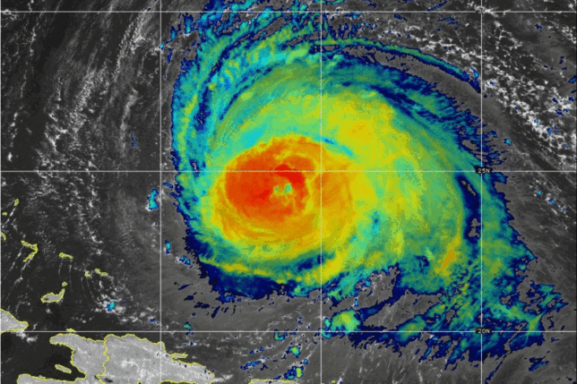
Landfall of this hurricane is expected to occur in...
MGM Resorts International is not the only casino company that suffered a major cyberattack recently...
Fare is fare. Right?
Afterwards, landfall of this hurricane is expected to occur in...
Have we progressed at all since the United States of America was attacked?
Join our mailing list to receive the latest news and updates from our team.









