Central 593 in Guayaquil in Ecuador. Restaurant Review.
We dined on traditional Ecuadorian food.
We dined on traditional Ecuadorian food.
A glimpse into a day in the life of the capital city of the Philippines.
This airline will celebrate 106 years in business in 2025.
This promotion is only good while supplies last.
This sale ends on Thursday, September 14, 2023.
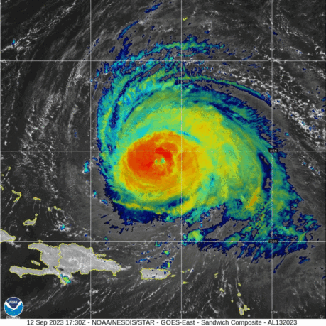
Place your bets on the odds of when operations return to normal.
This gunboat is barely the sole survivor of seven ironclad vessels.
A perfect place to spend a holiday?
Afterwards, landfall of this hurricane is expected to occur in...
Have we progressed at all since the United States of America was attacked?
1,000 bonus SkyMiles will cost you at least four dollars — plus taxes and gratuities.
Was he looking to start trouble?
Plus: enjoy bragging rights of dining on top of an extinct Cretaceous volcano.
Join our mailing list to receive the latest news and updates from our team.









